Ответ на сообщение Re: Пластика!!! пользователя Neri
|
Ответ на сообщение Re: Пластика!!! пользователя Neri
Ответ на сообщение Re: Пластика!!! пользователя Wild_Koshka
Ни один клиент заплатив бабло не разрешит свои фотки использовать и если что - затаскает по судам.С чего вы это взяли? Я сама давала разрешение, и знаю кучу народа такого же.
А когда Принцессе хотелось замуж, она устраивала репетицию: папильотки, тапки, фартук - и шла на королевскую кухню варить борщ. Через час желание как рукой снимало, и Принцесса возвращалась мечтать.
Ответ на сообщение Re: Пластика!!! пользователя Neri
Ну а как иначе узнать о качестве работы хирурга? Только со слов.. Сомнительная реклама..Мне мой хирург давал контакты своих пациентов ( с их согласия, ясное дело)
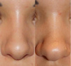
Хорошо бы они вообще натурально показывали результаты своих работ)))![]()
А когда Принцессе хотелось замуж, она устраивала репетицию: папильотки, тапки, фартук - и шла на королевскую кухню варить борщ. Через час желание как рукой снимало, и Принцесса возвращалась мечтать.
Ответ на сообщение Re: Пластика носа!!! пользователя Aleksandra_a
Все фото, размещенные на сайтах, до и после операции, сделаны с согласия пациентов. Не тайком же их фотали. Да и они тоже понимали для чего нужны врачам фото. Письменное согласие не обязательно.Можно я поясню?
Гречка
:mortal combat.Start-71kg.Day7-67,9kg.Target-65kg.Даша,мне осталось 0,9кг,готовь 500р!
Ответ на сообщение Re: Пластика!!! пользователя Hoda
Гречка
:mortal combat.Start-71kg.Day7-67,9kg.Target-65kg.Даша,мне осталось 0,9кг,готовь 500р!
Ответ на сообщение Re: Пластика!!! пользователя Пуха
Мне по фиг. Скрывать мне нечего, стыдиться - тоже. Я ему сразу сказала - хотите. используйте в интернете и каталогах, хотите - мой телефон давайте следующим пациентам с удовольствием встречусь, покажу, расскажу.
Можно подумать, прям узнают, и весь город начнет обсуждать, в газетах пропишут, ога.
Это я метафорически.А когда Принцессе хотелось замуж, она устраивала репетицию: папильотки, тапки, фартук - и шла на королевскую кухню варить борщ. Через час желание как рукой снимало, и Принцесса возвращалась мечтать.
Исправлено пользователем Hoda (22.12.09 15:22)
Ответ на сообщение Re: Пластика!!! пользователя Hoda
а показывают на приёме действительно всех подряд, не думаю,что ВСЕ поголовно разрешение дают... просто если на сайте вывесят, можно прийти и высказать своё веское "фу!", а при личном приёме демонстрация не доказуема 

Ответ на сообщение Re: Пластика!!! пользователя Hoda
во-первых, потому что Вы про Областную написали, за что спасибо, во-вторых, сколько людей столько и мнений, и ситуаций и всего прочего 

Ответ на сообщение Re: Пластика!!! пользователя b52

А когда Принцессе хотелось замуж, она устраивала репетицию: папильотки, тапки, фартук - и шла на королевскую кухню варить борщ. Через час желание как рукой снимало, и Принцесса возвращалась мечтать.
Исправлено пользователем Hoda (22.12.09 17:57)
Ответ на сообщение Пластика!!! пользователя Madonna

Ответ на сообщение Re: Пластика!!! пользователя Madonna
У него нос по-прежнему 40 тыс стоит, или уже дороже?А когда Принцессе хотелось замуж, она устраивала репетицию: папильотки, тапки, фартук - и шла на королевскую кухню варить борщ. Через час желание как рукой снимало, и Принцесса возвращалась мечтать.
Ответ на сообщение Re: Пластика!!! пользователя Hoda
Это всего лишь слова, всего лишь произнесенные, всего лишь вами(с)
Ответ на сообщение Re: Пластика!!! пользователя Hoda

Ответ на сообщение Re: Пластика!!! пользователя Madonna
А когда Принцессе хотелось замуж, она устраивала репетицию: папильотки, тапки, фартук - и шла на королевскую кухню варить борщ. Через час желание как рукой снимало, и Принцесса возвращалась мечтать.
Ответ на сообщение Re: Пластика!!! пользователя Madonna

Гречка
:mortal combat.Start-71kg.Day7-67,9kg.Target-65kg.Даша,мне осталось 0,9кг,готовь 500р!
Ответ на сообщение Re: Пластика!!! пользователя Madonna
Ответ на сообщение Re: Пластика!!! пользователя ninusik


Ответ на сообщение Re: Пластика!!! пользователя Hoda
устранены 
Ответ на сообщение Re: Пластика!!! пользователя Madonna
Ответ на сообщение Re: Пластика!!! пользователя Madonna

Ответ на сообщение Re: Пластика!!! пользователя ninusik
что то какие то цены.... не действительные... В Новосибирске на сколько я знаю даже в дорогих клинниках такого нет ну если только с костной основой операция... а кончик носа до 30 т.стоитДействительно, информация не верная, таких цен скорее всего в Новосибирске нет, а если и есть где 30 тыс., так я бы точно туда не пошла. В Москве у Левина стоит более 7 тыс. евро, у хирургов попроще 100-150, такие же цены в Питере.
Ответ на сообщение Re: Пластика!!! пользователя katpuna

Ответ на сообщение Re: Пластика!!! пользователя Madonna
Жизнь прекрасна!
Ответ на сообщение Re: Пластика!!! пользователя Madonna


I'm not crazy, I'm just a little unwell
Ответ на сообщение Re: Пластика!!! пользователя Dakota
Жизнь прекрасна!
Ответ на сообщение Re: Пластика!!! пользователя Aleksandra_a
Я делала эту операцию по удалению шишки именно у пластического хирурга, а шрам остался как будто мясник меня резал...Это может говорить о том, что у вас есть склонность к образованию келоидных швов. Тут врач ни причем. Это от наличия какого-то там гормана в крови зависит.
Ответ на сообщение Re: Пластика!!! пользователя Madonna
Ответ на сообщение Re: Пластика!!! пользователя Madonna
Ответ на сообщение Re: Пластика!!! пользователя Fifa
Ой девочки, ну вы совсм меня заинтриговали)))Ага, мне чот тоже любопытно стало.
Такое чувство, что я уже слышала фамилию ТОГО САМОГО, только забыла)Ответ на сообщение Re: Пластика!!! пользователя Rouge
Тот, чье имя нельзя упоминатьОй девочки, ну вы совсм меня заинтриговали)))Ага, мне чот тоже любопытно стало.Такое чувство, что я уже слышала фамилию ТОГО САМОГО, только забыла)

I'm not crazy, I'm just a little unwell
Ответ на сообщение Re: Пластика!!! пользователя Dakota

Ответ на сообщение Re: Пластика!!! пользователя Rouge
I'm not crazy, I'm just a little unwell
Ответ на сообщение Re: Пластика!!! пользователя Dakota
Ответ на сообщение Re: Пластика!!! пользователя Madonna
Гречка
:mortal combat.Start-71kg.Day7-67,9kg.Target-65kg.Даша,мне осталось 0,9кг,готовь 500р!
Ответ на сообщение Пластика!!! пользователя Madonna
Ответ на сообщение Re: Пластика!!! пользователя Пуха

Ответ на сообщение Re: Пластика!!! пользователя Madonna
Гречка
:mortal combat.Start-71kg.Day7-67,9kg.Target-65kg.Даша,мне осталось 0,9кг,готовь 500р!
Ответ на сообщение Re: Пластика!!! пользователя Madonna
Гречка
:mortal combat.Start-71kg.Day7-67,9kg.Target-65kg.Даша,мне осталось 0,9кг,готовь 500р!
Ответ на сообщение Re: Пластика!!! пользователя Пуха
Ответ на сообщение Re: Пластика!!! пользователя Madonna
Гречка
:mortal combat.Start-71kg.Day7-67,9kg.Target-65kg.Даша,мне осталось 0,9кг,готовь 500р!
Ответ на сообщение Re: Пластика!!! пользователя Madonna
А когда Принцессе хотелось замуж, она устраивала репетицию: папильотки, тапки, фартук - и шла на королевскую кухню варить борщ. Через час желание как рукой снимало, и Принцесса возвращалась мечтать.
Ответ на сообщение Re: Пластика!!! пользователя Hoda
Ответ на сообщение Re: Пластика!!! пользователя Madonna
Жизнь прекрасна!
Ответ на сообщение Re: Пластика!!! пользователя Hoda
Это всего лишь слова, всего лишь произнесенные, всего лишь вами(с)
Ответ на сообщение Re: Пластика!!! пользователя Аццкая брюнетка
Жизнь прекрасна!
Ответ на сообщение Re: Пластика!!! пользователя Fifa


Ответ на сообщение Re: Пластика!!! пользователя b52
А когда Принцессе хотелось замуж, она устраивала репетицию: папильотки, тапки, фартук - и шла на королевскую кухню варить борщ. Через час желание как рукой снимало, и Принцесса возвращалась мечтать.
Ответ на сообщение Re: Пластика!!! пользователя Hoda

Ответ на сообщение Re: Пластика!!! пользователя Fifa
Посоветуйте где у нас в городе можно подправить носовую перегородку, левая сторона совсем не дышит...?Это к Лор-хирургу. Я очень рекомендую Салопова.
Вспомнила, что дома есть конфеты. Я УЖЕ БЕГУ, МОИ МИЛЫЕ!
Ответ на сообщение Re: Пластика!!! пользователя Asfura
Черное...белое..Доказано! (с) Жизнь